Three new airline lounges are coming to Honolulu airport.
Last week I wrote that Southwest Airlines had increased the size plan for its airport lounge in Honolulu since a lease was first approved in the fall.
There are two more lounges that heave been leased at the Honolulu airport – one space for Alaska Airlines, and another for Delta.
The Alaska Airlines lease for 20 years includes “portions of Building 305, Mauka Extension of the Inter-Island Terminal, Second Level” totaling 14,022 square feet at $156.14 per square foot, and a required $15 million investment in improvements in the space.

This looks to me like the new premium lounge that Alaska Airlines announced last year.
The first design concepts, which are largely inspired by Hawaii’s rich natural elements, include intentional areas of surprise, organic forms, and tactile discovery. The space will come to life through sculptural elements, bold pops of color and reflective beams of light that create a relaxing environment for guests embarking on their own journey.

Meanwhile Delta’s lease in “Terminal 2, Diamond Head Domestic Extension (Bldg 341, 2nd level) + Diamond Head Connecting Link (Bldg 363, 2nd level)” is 12,280 square feet for 10 years with minimum $8 million investment in improvements in the space.

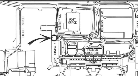
The current Delta Sky Club is across from gate G1 and smaller. This is adjacent to F2. All three lounge leases appear to be for similar sized space.


So now that fares are rising and there’s not going to be much undercutting due to high fuel prices and less competition, will the next round be “Lounge Wars?” The deciding edge could be who has the shortest line/waitlist to get in!
I’ll ‘Aloha!’ to this. Time to get lei-d!
Lovely to see DL expand the SC network. Maybe they could focus on expanding their overcrowded clubs so we can actually enjoy the service we are paying to use.
@Parker — At least FLL T2 got that new SkyClub, which was then subsequently further expanded; however, they really should’ve just built it out over the entire upper floor… then, and only then, would it have had enough capacity for the cruise departure days.
Who gives a rats? sSWA is a joke. We do NOT want or need a stupid SWA longe. Give is OPEN SEATING and BAGS FLY FREE, you stupid little *ricks!
@1990 I avoid FLL between the hours of 10am and 2pm at all costs. I cannot do the whole cruise ship passenger chaos at the airport. The only thing worse is MCO.
@Parker — Good call.
@Brent — The SWA lounge locations are also lacking; like, seriously, to not include MDW, BWI, HOU… it’s as if they’re following Delta, and only putting DeltaOne in competitive markets while ignoring fortress hubs (see D1 at JFK, LAX, BOS, SEA, but not ATL, DTW, yet.)
The current Delta Sky Lounge is across from F1/F2 not G1. It’s one of my favorite lounges, amazing staff.